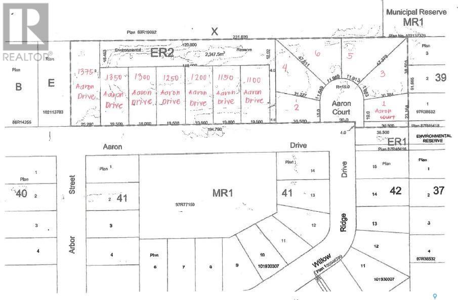
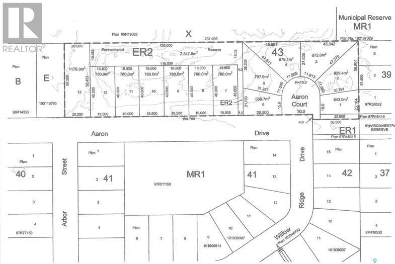
Vacant Land For Sale In Pilot Butte, Saskatchewan
$167,700None Beds
-
Details
-
Map
-
Demographics
-
Street View
-
Get Directions
-
Advertising


























