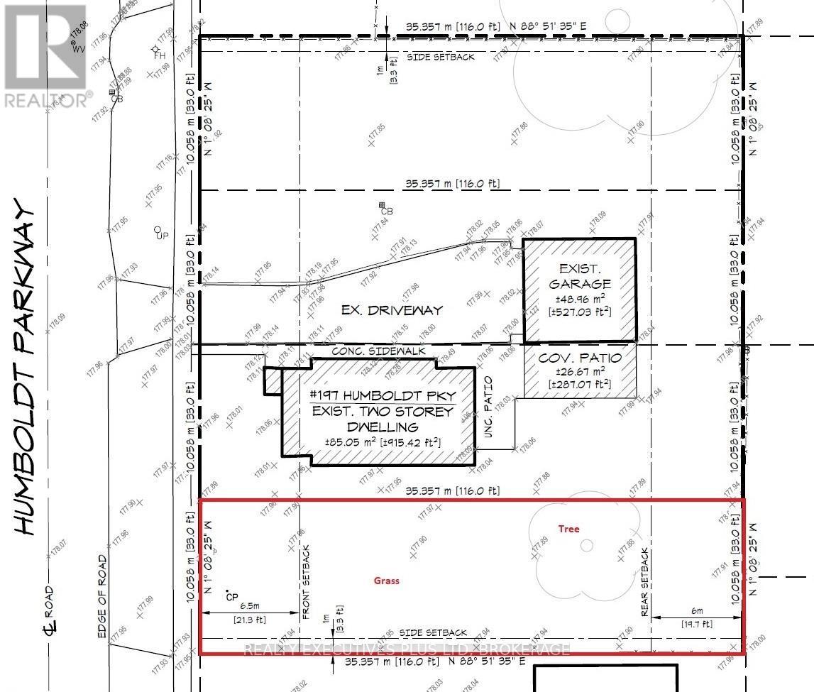
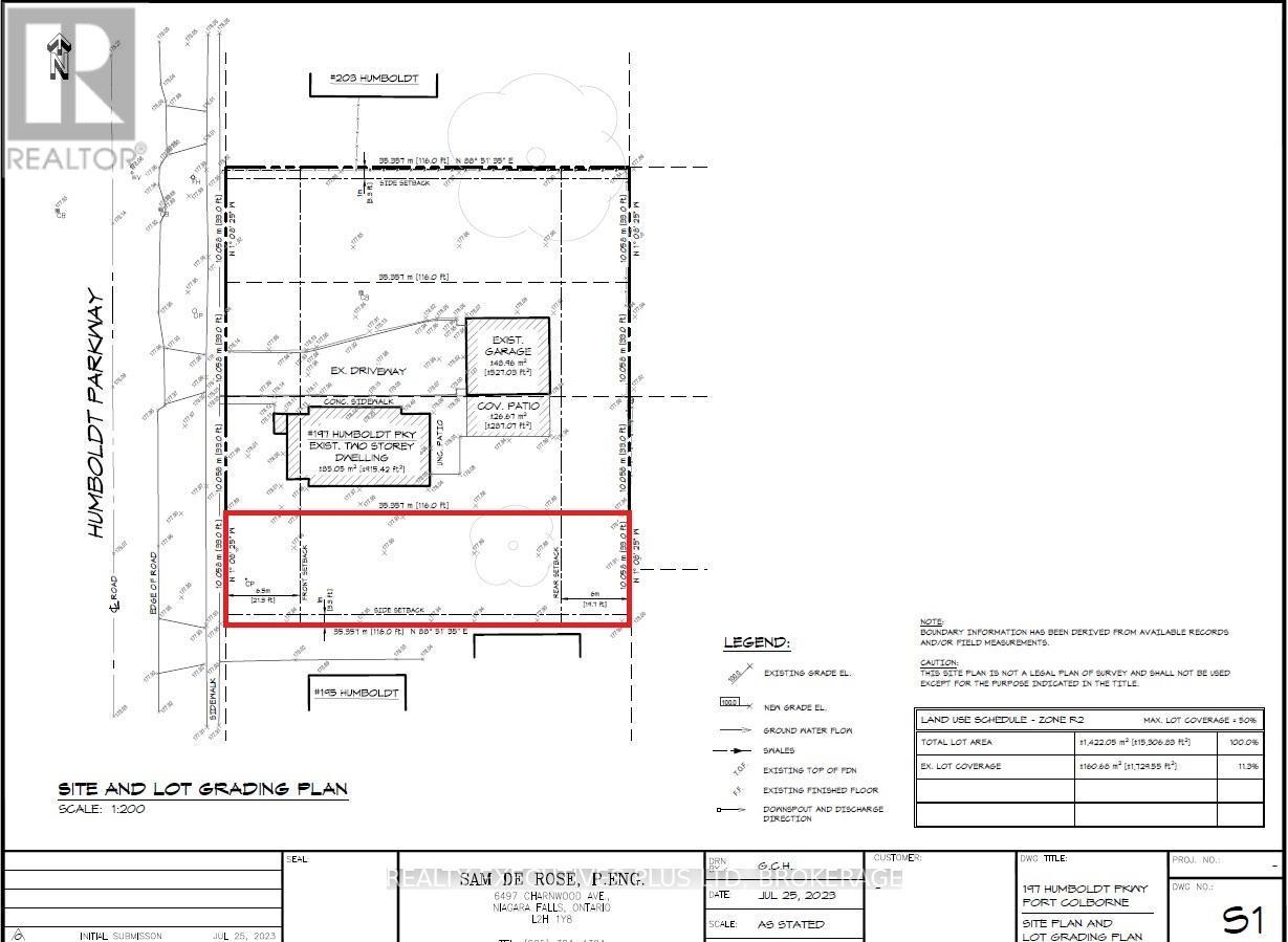
Vacant Land For Sale In Three Bridges, Port Colborne (Killaly East), Ontario
$125,000None Beds
-
Details
-
Map
-
Demographics
-
Street View
-
Get Directions
-
Advertising




