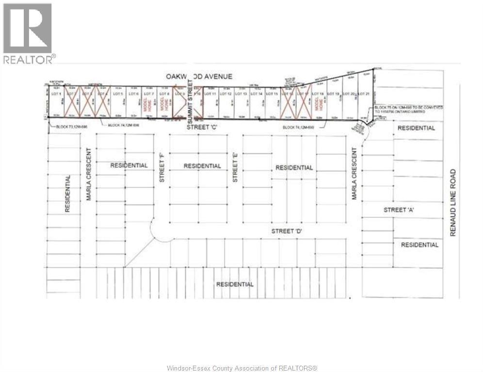
Vacant Land For Sale In Sugarloaf, Lakeshore, Ontario
$339,000None Beds
-
Details
-
Map
-
Demographics
-
Street View
-
Get Directions
-
Advertising

