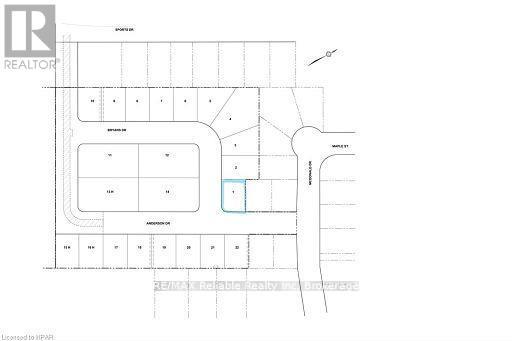
Vacant Land For Sale In Huron East (Brussels), Ontario
$149,900None Beds
-
Details
-
Map
-
Demographics
-
Street View
-
Get Directions
-
Advertising

