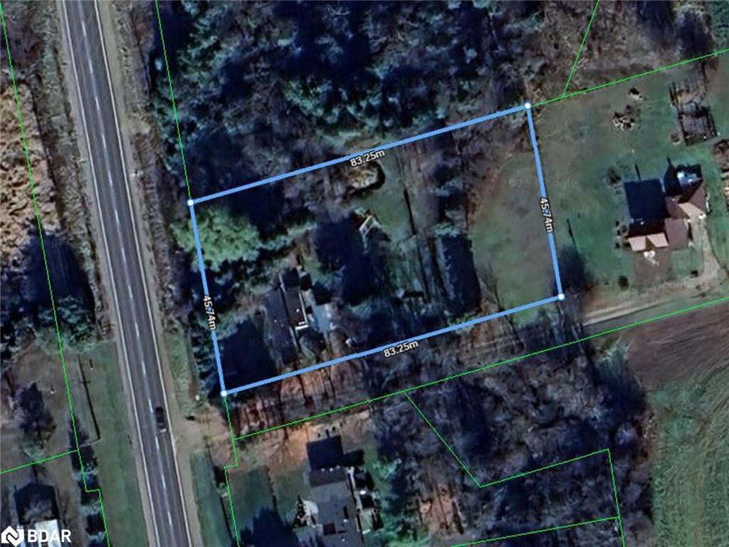
Vacant Land For Sale In Essa, Ontario
$299,000None Beds
-
Details
-
Map
-
Demographics
-
Street View
-
Get Directions
-
Advertising


