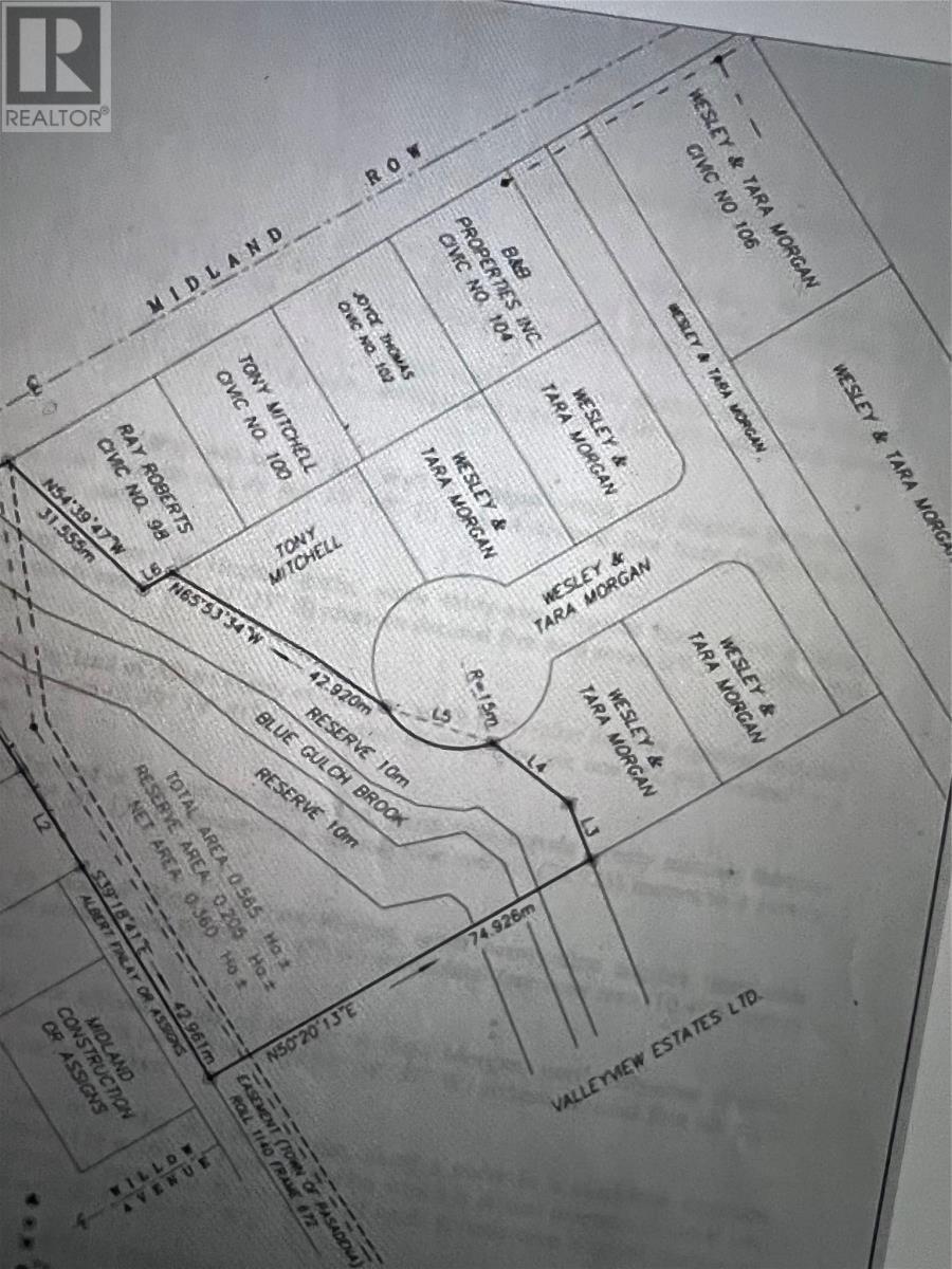
Vacant Land For Sale In Pasadena, Newfoundland and Labrador
$149,900None Beds
-
Details
-
Map
-
Demographics
-
Street View
-
Get Directions
-
Advertising




