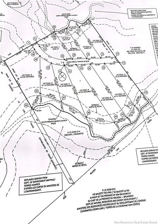
Vacant Land For Sale In Lavillette, New Brunswick
$18,000None Beds
-
Details
-
Map
-
Demographics
-
Street View
-
Get Directions
-
Advertising
MULTIMEDIA





