Vacant Land For Sale In Prince George, British Columbia
$114,900None Beds
-
Details
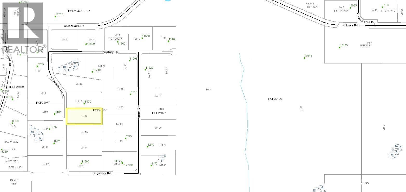
-
Map
-
Demographics
-
Street View
-
Get Directions
-
Advertising



