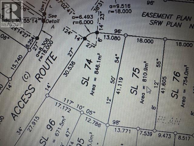
Recreational For Sale In Invermere, British Columbia
$175,000 QuickQuoteTM: Not AvailableNone Beds
-
Details
-
Map
-
Demographics
-
Street View
-
Get Directions
-
Advertising





