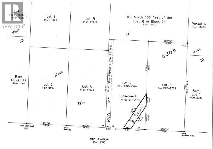
Vacant Land For Sale In Burns Lake, British Columbia
$38,750None Beds
-
Details
-
Map
-
Demographics
-
Street View
-
Get Directions
-
Advertising



