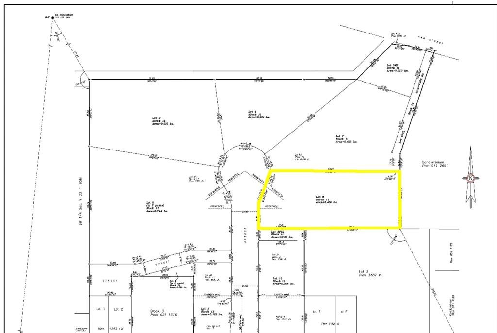
Commercial For Sale In Olds, Alberta
$677,500None Beds
-
Details
-
Map
-
Demographics
-
Street View
-
Get Directions
-
Advertising




