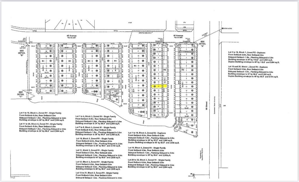
Vacant Land For Sale In Camrose, Alberta
$122,500None Beds
-
Details
-
Map
-
Demographics
-
Street View
-
Get Directions
-
Advertising








