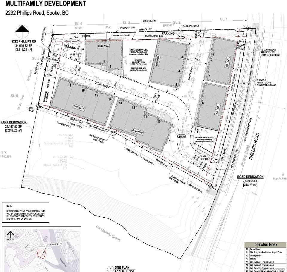
Terrain À vendre à Sooke, Colombie-Britannique
1 250 000 $-
Détails
-
Carte
-
Données démographiques
-
Vue de la rue
-
Itinéraire
-
Publicité
MULTIMEDIA













