Terrain À vendre à Nipawin Rm No. 487, Saskatchewan
69 000 $None Chambres
-
Détails
-
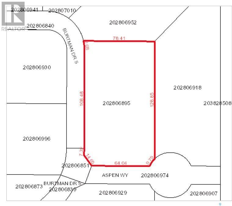
Carte
-
Données démographiques
-
Vue de la rue
-
Itinéraire
-
Publicité









