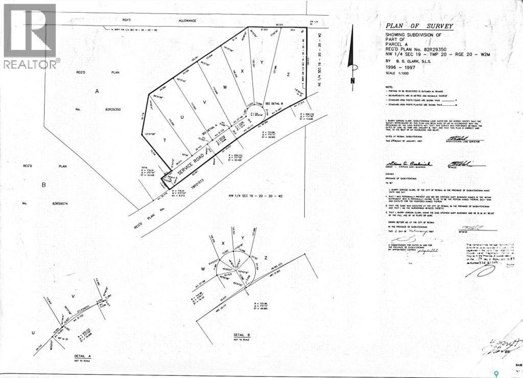
Terrain À vendre à Longlaketon Rm No. 219, Saskatchewan
129 900 $None Chambres
-
Détails
-
Carte
-
Données démographiques
-
Vue de la rue
-
Itinéraire
-
Publicité




















