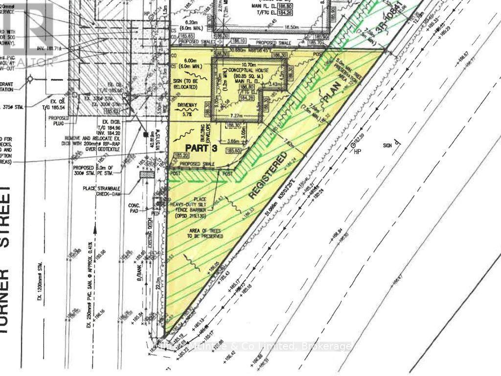
Terrain À vendre à Saugeen Shores, Ontario
175 000 $None Chambres
-
Détails
-
Carte
-
Données démographiques
-
Vue de la rue
-
Itinéraire
-
Publicité





