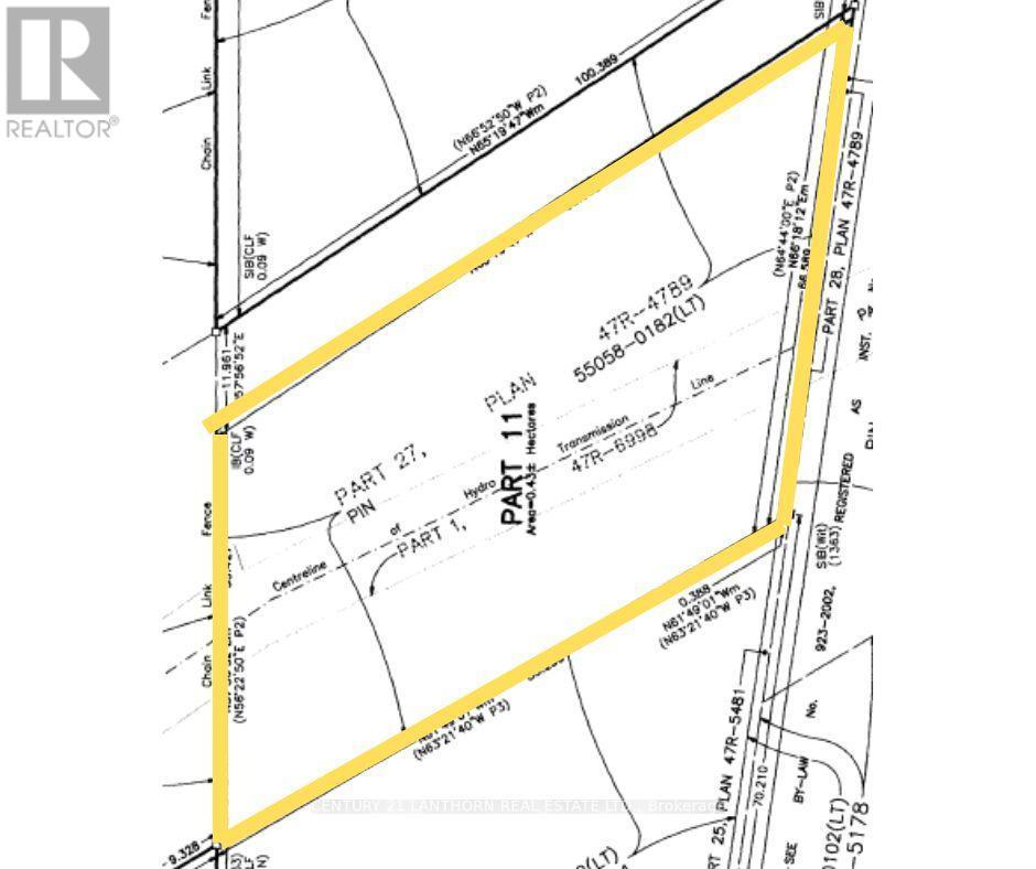
Terrain À vendre à Prince Edward County (Picton Ward), Ontario
157 600 $None Chambres
-
Détails
-
Carte
-
Données démographiques
-
Vue de la rue
-
Itinéraire
-
Publicité

