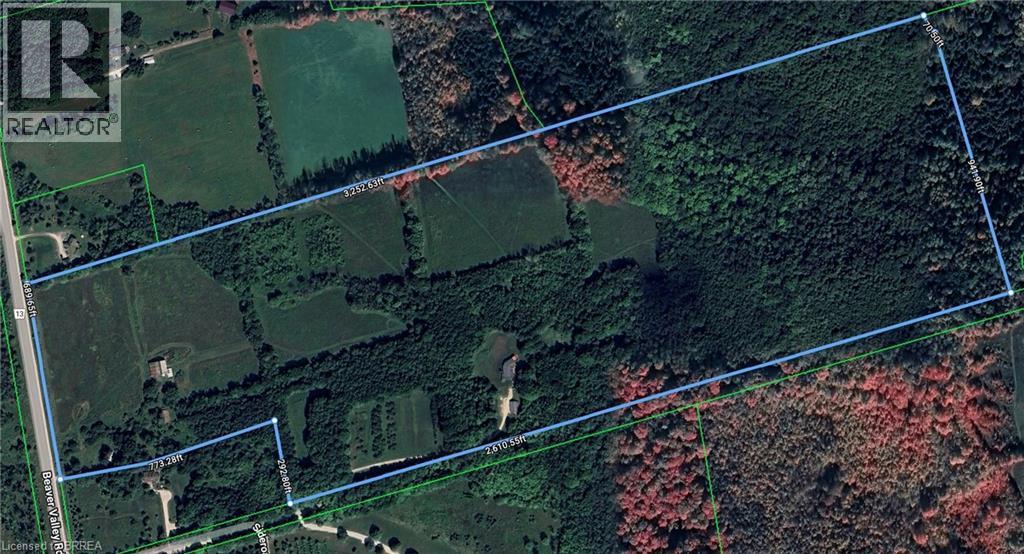
Fermette À vendre à Kimberley, Ontario
1 599 000 $3+1 Chambres
3 Salles de bain
-
Détails
-
Carte
-
Données démographiques
-
Vue de la rue
-
Itinéraire
-
Publicité















































