Terrain À vendre à Edwardsburgh/Cardinal, Ontario
75 000 $None Chambres
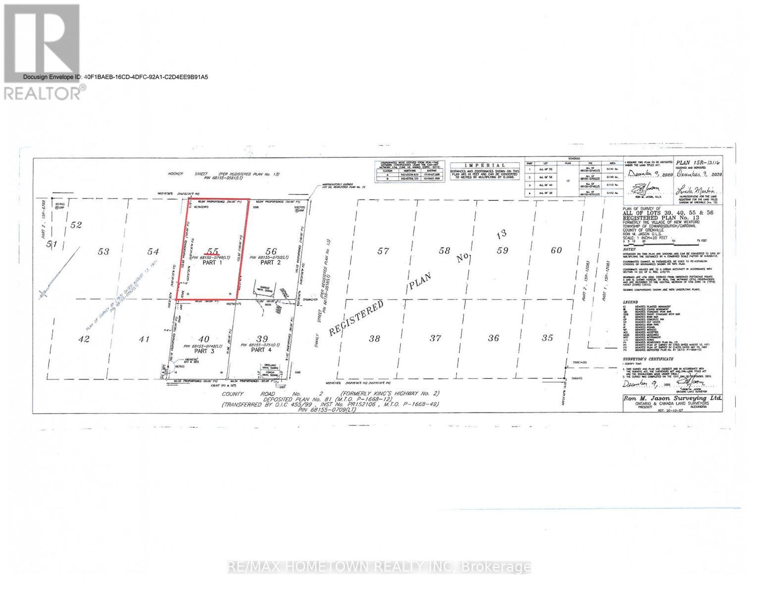
-
Détails
-
Carte
-
Données démographiques
-
Vue de la rue
-
Itinéraire
-
Publicité
