Commercial À louer à Bowmanville, Clarington (Bowmanville), Ontario
14.00 $ /pi. ca.None Chambres
-
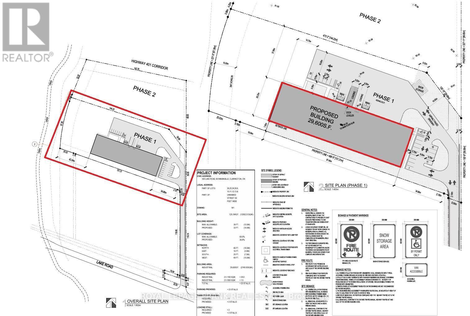
Détails
-
Carte
-
Données démographiques
-
Vue de la rue
-
Itinéraire
-
Publicité

























