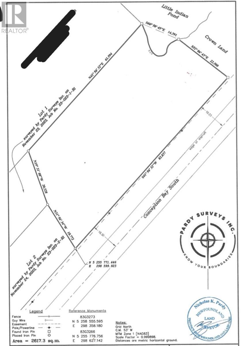
Terrain À vendre à Conception Bay South, Terre-Neuve-et-Labrador
100 000 $None Chambres
-
Détails
-
Carte
-
Données démographiques
-
Vue de la rue
-
Itinéraire
-
Publicité








