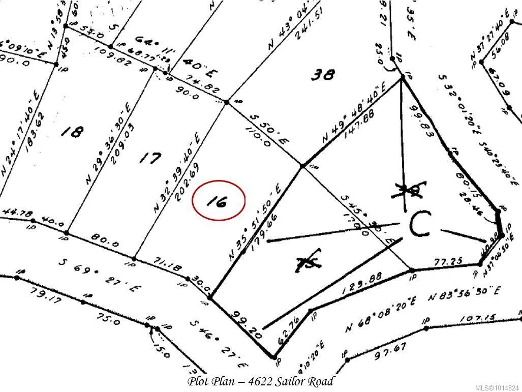
Terrain À vendre à Pender Island, Colombie-Britannique
239 000 $-
Détails
-
Carte
-
Données démographiques
-
Vue de la rue
-
Itinéraire
-
Publicité
MULTIMEDIA













