new listing
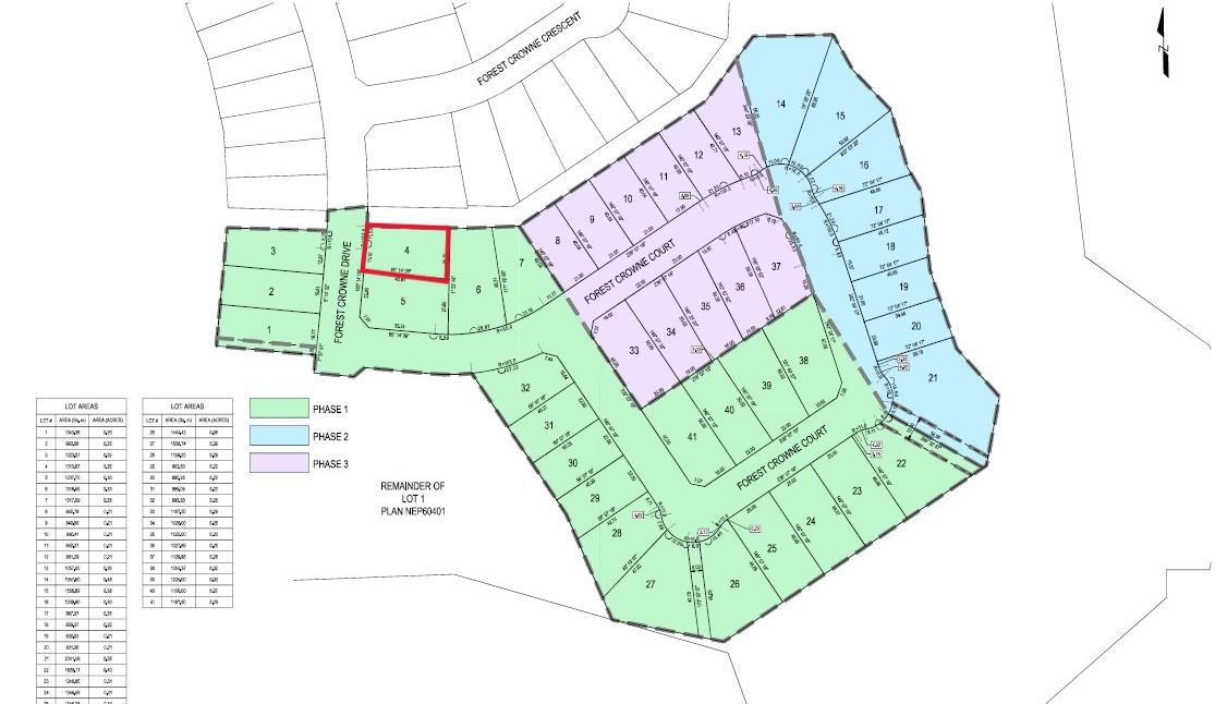
Vacant Land For Sale In Kimberley, British Columbia
$190,000None Beds
-
Details
-
Map
-
Demographics
-
Street View
-
Get Directions
-
Advertising














