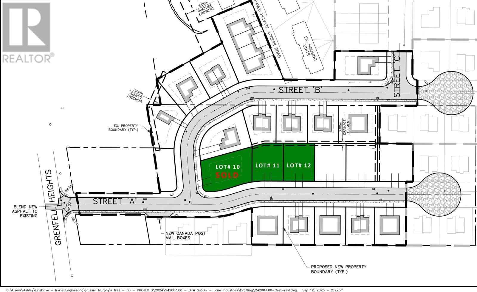
Terrain À vendre à Grand Falls-Windsor, Terre-Neuve-et-Labrador
99 900 $None Chambres
-
Détails
-
Carte
-
Données démographiques
-
Vue de la rue
-
Itinéraire
-
Publicité

