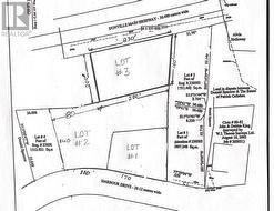
Lot 2 1313-1315 Main Road, Dunville/Harbour Drive, Newfoundland & Labrador, A0B 1S0
85 000 $No. MLS® 1289246
Le contenu de cette inscription est fourni par REALTOR.ca et a été autorisé par les membres de l'Association canadienne de l'immeuble.
Photos supplémentaires
























