85 000 $

Terrain À vendre à Lower Main River, Nouveau-Brunswick

85 000 $

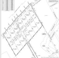
Welcome to a brand-new riverfront community in Lower Main River offering a limited selection of stunning waterfront and waterview lots along the scenic Richibucto River. This is your chance to build the home or getaway you’ve always dreamed of, with direct river access, included boat slips, and breathtaking views in every direction. Whether you choose a lot right on the water or one with elevated views, each property offers the perfect blend of privacy and natural beauty. Enjoy fishing, boating, and relaxing just steps from your door, with electricity currently being installed to every lot for added convenience. These spacious parcels are ideal for a full-time residence, vacation retreat, or investment opportunity, all just minutes from Richibucto and local amenities. Don’t miss this rare opportunity to own in an up-and-coming waterfront subdivision—secure your spot today and start living the river life you’ve been waiting for!

Caractéristiques :

  • Caractéristiques de bord de l'eau: Plage, Emplacement de bateau, Vue sur la mer : Ravin
  • Caractéristiques terrestres: Plage, Dégagé
  • Dimensions de la propriété: Entre 1,0 et 2,99 acres
  • Entrée: Aucune
  • Influences du site: Pêche, Terrain de golf
  • Titre d’arrivée: Propriété franche
  • Eau: Aucun

Gracieuseté de : RE/MAX Quality Real Estate Inc.

Données fournies par : Greater Moncton REALTORS® du Grand Moncton 541 Boul. Ste. George, Moncton, Nouveau-Brunswick E1E 2B6
Nous croyons que tous les renseignements affichés sont exacts, mais nous ne le garantissons pas; les renseignements devraient être vérifiés de façon indépendante. Aucune garantie ou représentation de quelque nature que ce soit n’est offerte. Droits © 2021 Tous les droits sont réservés.