169 900 $

Terrain À vendre à Centre-ville, Fredericton, Nouveau-Brunswick

169 900 $

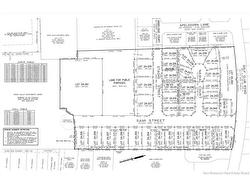
Looking for a building lot in one of Fredericton’s most coveted neighborhoods?! The wait is now finally over. Thirty-five fully-serviced building lots are now available for sale in Phase I of this exceptional Golf Club Road development. Consisting of 26 single-family, 6 duplex and 3 triplex lots, this stunning location will provide home owners with city living in a country setting. Only a short distance to the Woodstock Road and the beautiful trail system. For uptown access, residents will be able to enjoy accessing the much-anticipated roundabout at Prospect Street, allowing immediate access to uptown shopping and services, local schools and all major highways.For golfers, this development is only a few hundred meters from the Fredericton Golf Club. There will also be a two-acre park, walking and biking lanes through the development. Restrictive Covenants are in place to protect your investment. Note that lots are being sold for individual home construction (ie: no lot & home packages are available). Phase I will be the only opportunity available for public acquisition. Don’t miss this rare and exclusive opportunity to build your dream home in one of Fredericton’s most desirable neighborhoods.HST is extra and applicable on all lot sales.

Caractéristiques :

  • Dimensions de la propriété: Moins de 0,5 acre
  • Entrée: Aucune
  • Influences du site: Terrain de golf, Activités récréatives à proximité
  • Titre d’arrivée: Propriété franche
  • Eau: Municipal

Gracieuseté de : PARTNERS GLOBAL Corporate Real Estate

Données fournies par : Greater Moncton REALTORS® du Grand Moncton 541 Boul. Ste. George, Moncton, Nouveau-Brunswick E1E 2B6
Nous croyons que tous les renseignements affichés sont exacts, mais nous ne le garantissons pas; les renseignements devraient être vérifiés de façon indépendante. Aucune garantie ou représentation de quelque nature que ce soit n’est offerte. Droits © 2021 Tous les droits sont réservés.