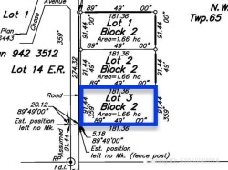
Lot 3 Part of NW-33-65-22-W4, Rural Athabasca County, AB, T9S 2A5
79 000 $No. MLS® A2267702
Photos supplémentaires
Lot 3 Part of NW-33-65-22-W4, Rural Athabasca County, AB, T9S 2A5
79 000 $No. MLS® A2267702
Photos supplémentaires




