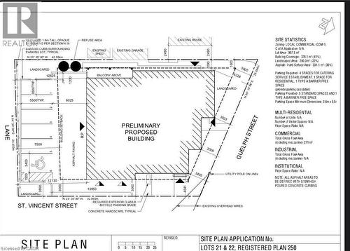
Vacant Land For Sale In Mt. Hope Huron Park, Kitchener, Ontario
$899,000None Beds
-
Details
-
Map
-
Demographics
-
Street View
-
Get Directions
-
Advertising
