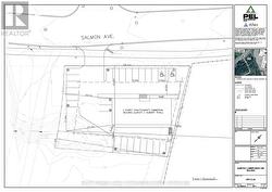
0 SALMON AVENUE, Bracebridge (Monck (Bracebridge)), Ontario, P1L 1Z1
$459,000MLS® # X12597836
Sales Representative
Royal LePage Lakes Of Muskoka Realty
, Brokerage*
Additional Photos









