376 Philip Place, Ancaster, ON, L9G 3G8
$1,199,900MLS® # 40764409
House For Sale In Lime Kiln, Ancaster, Ontario
3
Bedrooms
1
Bath
-
8
Parking Spaces
Property Information:
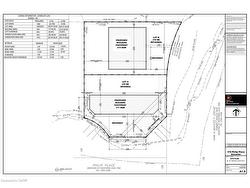
Exceptional Infill & Development Opportunity in Ancaster Heights!Rare chance to secure a premium 120 x 117 ft. corner lot with conditional severance approval for two detached lots (approx. 55 x 110 ft. each)Located at 376 Philip Place, this tree-lined property offers frontage on both Philip Place and Massey Drive, providing outstanding design and layout flexibility. Fully serviced with water and sewer connections, the site is zoned and conditionally approved for two custom homes, making it an ideal opportunity for builders, developers, or investors.Nestled in one of Ancaster’s most desirable communities, the property is just minutes to Tiffany Falls, local parks, conservation trails, Highway 403, Downtown Ancaster, Dundas, and McMaster Hospital.This is a landmark opportunity to develop in one of the region’s most sought-after enclaves—whether you’re looking to build immediately or hold for future potential.
Inclusions: Dishwasher,Dryer,Range Hood,Refrigerator,Stove,Washer,Window Coverings,See Schedule B
Exclusions : See Schedule B
Building Features:
- Floor Space: 1250 Square Feet
Property Features:
- Bedrooms: 3
- Bathrooms: 1+0
- Acres Range: < 0.5
- Architectural Style: Bungalow
- Basement: Full, Unfinished
- Built in: 1960
- Construction Materials: Brick, Stucco
- Cooling: Central Air
- Driveway Parking: Private Drive Double Wide
- Floor Space (approx): 1250 Square Feet
- Heating: Forced Air, Natural Gas
- Interior Features: Other
- Laundry Features: Inside
- Lot Depth: 116.36 Feet
- Lot Features: Rural, Near Golf Course, Major Highway, Park, Public Transit, Schools
- Lot Frontage: 119.26 Feet
- Parking Features: Detached Garage
- Roof: Asphalt Shing
- Water Source: Municipal
- Window Features: Window Coverings
- Zoning: ER
- Sewer: Sewer (Municipal)
- No. of Parking Spaces: 8
Rooms:
- Living Main Level 5.41 X 4.14
- Primary Bedroom Main Level 3.38 X 3.35
- Dining Main Level 2.31 X 2.31
- Bedroom Main Level 3.58 X 2.77
- Kitchen Main Level 5.28 X 2.74
- Bathroom Main Level
- Bedroom Main Level 3.05 X 2.49
Courtesy of: EXP REALTY OF CANADA INC
This listing content provided by REALTOR.ca has been licensed by REALTOR® members of The Canadian Real Estate Association.
Additional Photos












