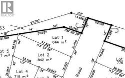
LOT 1 4602 GANNETT ROAD, Prince George, British Columbia, V2N 0B7
$190,000MLS® # R3046955
This listing content provided by REALTOR.ca has been licensed by REALTOR® members of The Canadian Real Estate Association.
Additional Photos
