10195 Williams Road, Chilliwack, BC, V2P 5H3
$1,600,000MLS® # R2996578
House For Sale In Fairfield, Chilliwack, British Columbia
4
Bedrooms
3
Baths
-
33192.00 Square Feet
Lot Size
Property Information:
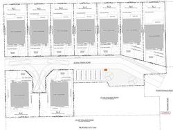
A rare development opportunity in one of Chilliwack's most desirable family neighbourhoods! To be sold in conjunction with 46193 Strathcona Road, both properties together forming a 1.1 acre lot, fully serviced. Rezoning approved with City of Chilliwack for development of 9 single family homes. Both homes currently tenanted and producing rental income. The only question: Why wouldn't you park your money on Fairfield Island? Minutes to Chilliwack's newest hot spot - District 1881, minutes to the mighty Fraser River, minutes to all important amenities, not to mention the proposed boardwalk along Hope River Rd. This one will not last, call your builders and trust the growth of this community
Building Features:
- Floor Space: 3065 Square Feet
Property Features:
- Bedrooms: 4
- Bathrooms: 3+0
- Annual Tax Amount: $5,425
- Appliances: Washer/Dryer, Dishwasher, Refrigerator
- Architectural Style: 4 Level Split
- Basement: Finished, Exterior Entry
- Built in: 1981
- Fireplace Features: Gas
- Floor Space (approx): 3065 Square Feet
- Heating: Forced Air, Natural Gas
- Levels: Multi/Split
- Lot Frontage: 138 Feet
- Lot Size: 33192.00 Square Feet
- Parking Features: Garage Double, Open, RV Access/Parking
- Structure Type: Residential Detached
- No. of Parking Spaces: 8
Courtesy of: Advantage Property Management
The data relating to real estate on this web site comes in part from the MLS® Reciprocity program of the Greater Vancouver REALTORS®, the Fraser Valley Real Estate Board or Chilliwack & District Real Estate Board. Real estate listings held by participating real estate firms are marked with the MLS® Reciprocity logo and detailed information about the listing includes the name of the listing agent. This representation is based in whole or part on data generated by the Greater Vancouver REALTORS®, the Fraser Valley Real Estate Board or Chilliwack & District Real Estate Board which assumes no responsibility for its accuracy. The materials contained on this page may not be reproduced without the express written consent of the Greater Vancouver REALTORS®, the Fraser Valley Real Estate Board or Chilliwack & District Real Estate Board.
Additional Photos

